我庭院裡那棵陪伴我十年的樟樹,去年春天突然不對勁。葉子背面長出一層灰白色的粉,新芽捲曲萎縮,看起來有氣無力。我那時慌了,上網亂查,試了各種偏方,結果情況更糟。後來才明白,那是常見的「白粉病」,而我最初的處理方式完全錯誤。這段經歷讓我深刻體會,樹木病蟲害防治不是憑感覺,它需要系統性的診斷與正確的對策。這篇文章,就是我從錯誤中學習,並諮詢多位資深園藝師後,整理出的實戰心得。如果你發現家裡的樹木出現異狀,別急,我們一步步來解決。
這篇文章能幫你解決什麼?
第一步:如何像醫生一樣診斷樹木病蟲害?
很多人一看到葉子黃了就拼命澆水或施肥,這是大忌。樹木不會說話,但它的症狀會告訴你問題在哪。你得學會觀察。
先別管什麼專業名詞,拿起手機或筆記本,靠近你的樹,從上到下、從外到內仔細看。我習慣用一個簡單的口訣:「葉花果枝幹,上下裡外看」。
診斷檢查清單
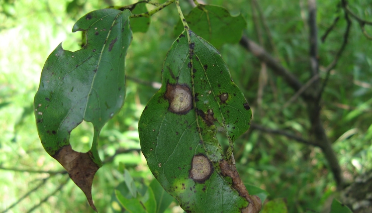
- 葉子:顏色是否均勻?有無斑點、粉末、銹斑、畸形、捲曲或被啃食的孔洞?是嫩葉還是老葉出問題?
- 花朵與果實:能否正常開花結果?有無提早掉落或畸形?
- 枝條:新梢是否萎蔫?枝條上有無孔洞、流膠、介殼蟲(一顆顆像小貝殼附著)或異常凸起?
- 樹幹與樹皮:樹皮有無脫落、裂開、流出樹液或木屑?靠近地面的基部是否腐爛?
- 整體狀態:樹冠是否稀疏?有無特定方向的枝條特別衰弱?
記錄下這些細節後,你已經完成80%的工作。接下來,對照下面常見的問題,你很可能就會找到答案。一個關鍵的觀念:很多時候樹木的衰弱是「病」和「蟲」一起來,或者環境壓力(如太濕、太旱、土壤不良)先削弱了樹勢,病蟲害才趁虛而入。 只治蟲不改善環境,問題永遠會回來。
台灣常見樹木病蟲害圖鑑與解法
根據台灣行政院農業委員會林業試驗所發布的資料,以及我個人在北部社區觀察的經驗,以下幾種是都會區庭院樹木最常遇到的麻煩。
| 病害/蟲害名稱 | 主要危害樹種 | 典型症狀 | 緊急處理方向 |
|---|---|---|---|
| 白粉病 | 樟樹、榕樹、杜鵑、玫瑰 | 葉片正面或背面出現白色粉狀黴層,新葉捲曲、畸形。 | 改善通風,剪除病葉。可噴灑碳酸氫鉀(小蘇打水)或硫磺劑。 |
| 炭疽病 | 樟樹、楓香、榕樹、茶花 | 葉片上出現圓形或不規則褐色病斑,邊緣有時有黃暈,後期病斑中央破裂。 | 清除落葉並銷毀(很重要!)。避免過度澆水,噴灑廣譜性殺菌劑。 |
| 介殼蟲 | 幾乎所有觀賞樹木,尤其是榕樹、柑橘類、竹柏 | 枝幹或葉背有褐色、白色或棉絮狀的小點附著,不動。伴隨螞蟻和煤煙病(葉片黑黑的)。 | 用軟刷或牙刷刷除。噴灑苦楝油或夏油,窒息蟲體。同時防治螞蟻。 |
| 天牛幼蟲 | 櫻花、楓樹、光臘樹、果樹 | 樹幹有圓形蛀孔,洞口有木屑或樹液流出。樹勢突然衰退。 | 尋找蛀孔,用鐵絲鉤殺幼蟲。嚴重時需由專業人員灌注專用藥劑。 |
| 薊馬 | 欒樹、菩提樹、杜鵑 | 嫩葉銀白色化、扭曲變形,花器受害。蟲體極小,需仔細看。 | 修剪受害嫩梢。噴灑賽洛寧或益達胺類藥劑,注意花期避免使用。 |

病蟲害防治的黃金步驟:預防與治療實作
處理樹木病蟲害,我把它分成三個階段,就像人的健康管理一樣。
第一階段:日常預防(健康管理)
這是最重要卻最被忽視的一環。一棵健康的樹,自身就有抵抗力。
- 適地適種:別把喜陽的樹種在陰暗角落,也別把怕積水的樹種在低窪處。
- 正確修剪:每年在生長停滯期(通常是冬季)進行適當疏枝,增加樹冠內部通風和光照,能大幅減少病害發生。切口要平整,最好塗抹傷口癒合劑。
- 土壤管理:定期在樹冠投影範圍內施用有機質肥料(如腐熟堆肥),改良土壤結構,讓根系長得好。避免化肥過量,那會讓樹木虛胖,反而容易引來蚜蟲。
- 清潔園圃:落葉、落果、枯枝是病蟲最好的越冬場所,一定要清理乾淨,別堆在樹下。
第二階段:早期發現與物理防治
一旦發現零星症狀,立即行動。
- 手工移除:對於介殼蟲、卵塊、被蛀的枝條,直接剪除或刮除。記得要把移除的蟲體或枝葉裝袋密封丟棄,不要隨意丟在旁邊。
- 沖洗:對於蚜蟲、紅蜘蛛這類體型小的害蟲,用強力水柱沖洗葉背有時就很有效。
- 設置陷阱:對天牛成蟲,可以在樹幹上綁誘蟲帶或設置費洛蒙陷阱。
第三階段:藥劑防治(最後手段)
當物理防治效果有限,或病害蔓延速度很快時,就需要用藥。用藥的原則是「對症、適時、適量」。

用藥選擇:化學防治與自然防治的平衡點
很多人一聽到農藥就排斥,完全擁抱自然療法。我的經驗是,兩者不衝突,關鍵在於時機與對象。
自然或生物防治劑(優先考慮):
- 苦楝油:對蚜蟲、介殼蟲、粉蝨、薊馬有效,作用機制是干擾昆蟲荷爾蒙並使其拒食。較安全,對益蟲影響小。
- 窄域油(夏油):在蟲體表面形成油膜,使其窒息。對介殼蟲、螨類效果好。注意高溫時(超過32°C)勿用。
- 蘇力菌:針對鱗翅目害蟲(毛毛蟲)的胃毒劑,對其他生物無害,是非常好的選擇性生物農藥。
- 碳酸氫鉀(食用小蘇打):配成500-1000倍液,對白粉病、露菌病有抑制效果。屬於較溫和的防治方式。
化學合成藥劑(必要時使用):
當病害爆發(如嚴重的炭疽病、疫病),或蟲口密度極高時,為了快速壓制,可能需要用到化學藥劑。例如待克利對於多種葉斑病、白粉病有效;賽洛寧對薊馬、蚜蟲速效。使用這類藥劑務必嚴格遵守安全採收期規定。
我的原則是:預防期和輕微發生時,盡量用自然資材。緊急搶救時,精準使用化學藥劑,一旦控制住,立刻轉回管理與自然防治。 沒有哪一種是萬靈丹,交替或混合使用不同作用機制的藥劑,也能避免病蟲產生抗藥性。
真實案例:我如何救回那棵生病的樟樹?
回到文章開頭我那棵樟樹。確診是白粉病後,我犯了第一個錯:在中午大太陽下噴灑牛奶稀釋液(網路上說有用)。結果高溫加牛奶,差點引發其他細菌感染,葉子更慘。
我冷靜下來,重新步驟:
- 修剪:先將嚴重感染的枝梢剪除,立刻裝袋丟棄。
- 環境改善:修剪旁邊過密的雜木,讓樟樹周圍空氣流通。
- 用藥:選擇傍晚,噴灑了一輪碳酸氫鉀溶液(800倍),一週後再噴一次。
- 營養補充:在樹冠投影邊緣挖環狀溝,埋入一些腐熟的有機肥,增強樹勢。
大約兩週後,新長出的葉子就乾淨健康了。這件事讓我學到,環境管理加上正確的資材,效果遠大於胡亂使用偏方。 白粉病喜歡晝夜溫差大、通風不良的環境,所以改善環境是根治的關鍵。
樹醫生的診間:你的疑難雜症解答
樹幹基部出現一堆木屑,但找不到明顯的洞,這是什麼蟲?該怎麼處理?
噴了推薦的藥,為什麼蟲好像沒死,病害還在擴散?
不想用任何藥,有沒有完全自然的方法對付毛毛蟲?
社區的樹生病了,該找誰處理?可以自己噴藥嗎?
照顧樹木就像照顧老朋友,需要耐心觀察和正確的知識。當你開始懂得解讀它的症狀,並給予適當的樹木病蟲害防治措施,你會發現,拯救一棵樹帶來的成就感,無比巨大。從今天起,多花五分鐘看看你的樹吧。
本文內容參考台灣行政院農業委員會林業試驗所、動植物防疫檢疫署公開資料,並結合個人實務經驗撰寫。用藥資訊請以農藥標示為準。