
葡萄開花,聽起來浪漫,但對種植者來說,這短短幾天卻是決定一年收成的生死關頭。花開得好不好,直接關係到後續的坐果率和果實品質。很多人以為開花只是春天那幾天的事,其實大錯特錯。葡萄開花過程是一場長達近一年的精密籌備,從你看不見的花芽分化就開始了。這篇文章,我想用這十幾年跟葡萄打交道累積下來的經驗,把這個過程掰開揉碎講清楚,順便分享幾個新手常忽略、但老手視若珍寶的關鍵細節。
葡萄開花不是一瞬間:完整過程階段拆解
別再把開花想成「某一天花突然開了」。它是一個連續的生理變化,我習慣分成四個階段來看,這樣管理起來才有依據。
第一階段:花芽分化(開花前一年夏季-冬季)
這是最關鍵也最容易被忽略的階段。今年春天開的花,其實在去年夏天(大概6到8月)就開始在芽眼裡偷偷「塑形」了。專業上叫「花芽的生理分化期」。這個時候,如果你為了讓枝條長得快,猛下氮肥,或者澆水過多,新梢(副梢)一直冒,那完了,養分全被葉子搶走,根本沒多餘力氣去形成花芽。結果就是隔年枝條看起來粗壯油亮,但就是不開花,或者花序少得可憐。
第二階段:花芽萌動與花序顯露(春季)
隨著春天氣溫回升(日平均氣溫穩定在10°C以上),休眠的芽開始萌動。你會先看到絨毛包裹的嫩芽膨大,然後逐漸露出小小的、像迷你葡萄串一樣的東西,那就是花序原基。這個時候要特別注意倒春寒,低溫會凍傷嬌嫩的花序。在台灣中北部山區,這風險不小。
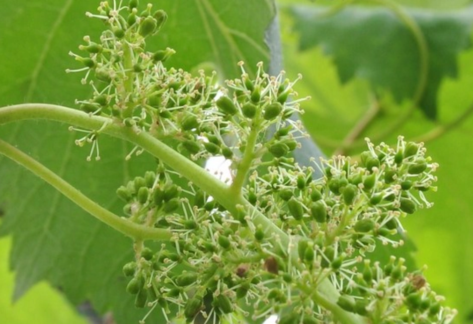
第三階段:花序伸展與開花(關鍵期)
花序抽長,花蕾分離。葡萄花很小,是黃綠色的。它開花順序很有趣,通常是花序的中下部先開,然後向兩端延伸。一朵花從花冠裂開(我們叫「帽狀脫落」)到完成授粉,也就一兩天時間。整個花序開完大概需要4到7天,一棵樹的花期大概持續一週到十天。
| 開花階段 | 外觀特徵 | 持續時間 | 管理重點 |
|---|---|---|---|
| 花蕾分離期 | 花蕾彼此分開,花序完全展開 | 2-3天 | 噴施硼、鋅微量元素,防治穗軸褐枯病 |
| 始花期 | 花序底部約5%花朵開放 | 1天左右 | 標誌進入開花期,注意天氣預報 |
| 盛花期 | 約50%-70%花朵開放 | 3-5天(授粉關鍵窗口) | 避免噴藥、灌溉,保持園內通風乾燥 |
| 末花期 | 大部分花已開過,柱頭萎蔫 | 1-2天 | 可開始輕度補水,準備謝花後第一次施肥 |

第四階段:授粉與坐果(開花後緊接發生)
葡萄大部分是自花授粉,也就是自己的花粉給自己的雌蕊授粉。風和微震動是主要媒介,昆蟲幫忙效果有限。授粉成功後,子房開始膨大,形成我們說的小果粒。如果授粉不良,就會出現「大小粒」或「落花落果」。
影響開花成敗的三大關鍵因素
開花順不順利,看這三樣就對了。
溫度: 絕對的主導者。開花最適溫度是25-30°C。低於15°C,花粉管生長極慢,授粉不良;高於35°C,柱頭容易乾枯失活。晝夜溫差大一點有好處,能積累更多養分。
水分: 開花期需要適度的土壤濕度,但空氣要相對乾燥。土壤太乾,花序抽不出來,花朵易脫落;土壤太濕或空氣濕度太高(比如連續陰雨),花粉會吸水破裂,還容易爆發灰黴病,直接爛花。我見過最慘的一年,花期連下一週雨,整個園子幾乎絕收。
養分: 重點不是開花時猛施肥,而是前期的儲備。開花期對磷、鉀、硼、鋅需求敏感。硼能促進花粉管伸長,缺硼會導致授粉失敗,形成無籽小果。但氮肥一定要控,否則新梢瘋長,跟花搶營養,落花落到你心碎。
如何促進葡萄開花?實戰養護操作清單
講完原理,來說具體怎麼做。我把一年的工作按時間軸理出來。
去年採收後(秋季): 施足有機肥(發酵過的羊糞、豆粕都很棒),這是花芽形態分化和樹體儲備的基礎。別偷懶用化肥代替,效果差很多。
萌芽前(約1-2月): 噴一次5波美度的石硫合劑,清園殺菌蟲。施用一次高磷中鉀的複合肥,催芽兼促花。
花序顯露期(約3-4月): 這是補微肥的黃金時間。葉面噴施一次0.1%硼砂溶液 + 0.2%磷酸二氫鉀 + 0.1%硫酸鋅。注意,硼砂要用溫水先化開。同時,進行抹芽定梢,去掉過密、過弱的芽,節省養分。
開花前一周: 對花序進行整理,掐掉副穗和花序尖部約1/4-1/5(依品種而定),讓養分更集中。土壤如果不是特別乾,就別澆水了。
開花期: 什麼都不做!不施肥、不澆水、不噴藥(除非爆發嚴重病害)。保持園內安靜、通風。如果天氣預報有連續陰雨,有條件的話儘早搭設避雨棚。
謝花後: 立刻補充一次高鉀型水溶肥,並噴一次廣譜性殺菌劑(如撲滅寧)預防病害。這時可以開始正常灌溉了。
開花期常見問題與專家解方
這些問題我幾乎每年都會被問到。
問題一:花序少,或者花序退化(變成卷鬚)。
這鐵定是去年花芽分化期出了問題。夏季修剪不當、氮肥過多、病蟲害導致落葉早,都會導致。解決辦法是回頭做好上一部分說的全年養護,急不來。
問題二:開花不齊,同一個花序上下部開花時間拉很長。
通常跟萌芽期溫度不穩定有關,也可能樹勢太弱。盛花期可以輕輕搖動枝條,輔助授粉,讓後開的花也有機會坐果。
問題三:落花落果嚴重。
先看品種,像巨峰本身自然坐果率就偏低。如果不是品種問題,那就要排查:花期是否遇到惡劣天氣?是否澆水或下雨了?是否噴了藥?樹勢是否太旺(新梢還在猛長)?針對處理,旺樹花期可以對新梢進行重摘心。
從開花看品種:巨峰、蜜紅、金香有何不同?
不同葡萄品種,開花習性差別很大,管理也要微調。
巨峰: 最常見的鮮食品種。它的花是「雌能花」,雖然有雄蕊,但花粉活力很低,自花授粉能力差。所以天生就容易落花落果。管理上要更精細,花前控旺、掐穗尖、甚至考慮用「無核化處理」(用赤黴素等)來保果。它的花期對環境特別敏感。
蜜紅(黑後): 釀酒常用。花是兩性花,自花授粉親和性好,坐果率通常比巨峰高。管理相對省心一些,但也要注意花期的濕度控制,預防病害。
金香(Golden Muscat): 歐美雜交種,兩性花。它的特點是花序比較大,開花量也大。有時候需要疏花,避免果穗太緊密。花期抗病性比巨峰稍強。
簡單來說,如果你種的是巨峰,開花期就要打起十二分精神,把它當成林黛玉來照顧。如果種的是蜜紅或一些歐美種,相對就是比較皮實的薛寶釵。
最後我想說,觀察葡萄開花過程本身就是一種樂趣。從那些小米粒一樣的花苞,到微微綻放的黃綠色小花,再到漸漸膨大的小果粒,你能真切感受到生命的力量。種葡萄急不得,很多功夫都在花開之外。把基礎打牢,尊重它的生長規律,開花結果就是水到渠成的事。